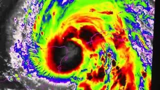
Hurricane Helene, Florida Storm, Sept 27, 2024
Holotruther
Published on Sep 27, 2024
Any Floridians like to update us?
- Your Subscription
Holotruther -
Share Video
Add to
Flag Video
Rate video
Rate video
DISCLAIMER
The content presented in this stream and/or video may be satirical in nature for entertainment purposes. It may contain realistic scenarios that may include themes of racism, anti-semitism, anti-LGBT sentiment and even elements such as death threats, all purely in the context of parody. In addition, this content may depict or refer to acts of violence in a satirical manner. Shock factor is a common and deliberate element used in these displays to emphasise the satirical message. By continuing to view this content, you acknowledge that you understand the satirical nature of this content, including the depiction of violence and the use of shock factor, and agree that you will not use or interpret this content outside of its intended context. Please remember that humour and satire are complex; they are not intended to belittle or demean, but to engage and challenge social norms through exaggeration. If you have any concerns about content, please feel free to engage in constructive dialogue or report issues to GTV staff.
Up next
Recommended
-
Watch Later
00:01Hurricane Helene Storm Update - Some Good News, Dec 26, 2024
128 views 432 days ago -
Watch Later
00:01News Bytes Special Report on Hurricane Helene ( 1st October, 2024 ) - 55m
205 views 518 days ago -
Watch Later
00:01Hurricane Helene Update - They Need Helicopters, Oct 3, 2024
470 views 516 days ago -
Watch Later
00:01Fakenukes Phil and Lynn Sunday Chat, Hurricane Helene, Oct 6, 2024
277 views 513 days ago -
Watch Later
00:01Hurricane Helene Just A Land Grab/Election Fraud? Oct 6, 2024
188 views 513 days ago